Skip to content
Menu
Home
Sustainability for All.
Search
Close
Search the site
GO
News
Environment
Business & Policy
Science
Animals
Home & Design
Current Events
Treehugger Voices
News Archive
Environment
Planet Earth
Climate Crisis
Pollution
Recycling & Waste
Natural Disasters
Transportation
Eco Terms A to Z
Home & Garden
Home
Natural Cleaning
Green Living
Sustainable Eating
Garden
Planting Guides
Indoor Gardening
Urban Farms
Science
Space
Natural Science
Technology
Agriculture
Energy
Policy
Corporate Responsibility
Environmental Policy
Economics
Food Issues
Eco-Design
Tiny Homes
Architecture
Interior Design
Green Design
Urban Design
Animals
Wildlife
Pets
Animal Rights
Endangered Species
More
Clean Beauty
Culture
About Us
News
Environment
Business & Policy
Science
Animals
Home & Design
Current Events
Treehugger Voices
News Archive
Environment
Planet Earth
Climate Crisis
Pollution
Recycling & Waste
Natural Disasters
Transportation
Eco Terms A to Z
Business & Policy
Corporate Responsibility
Environmental Policy
Economics
Food Issues
Home & Garden
Home
Garden
Science
Space
Natural Science
Technology
Agriculture
Energy
Animals
Wildlife
Pets
Animal Rights
Endangered Species
Culture
History
Travel
Sustainable Fashion
Art & Media
Holidays
Community
Eco-Design
Tiny Homes
Architecture
Interior Design
Green Design
Urban Design
Clean Beauty
Products
Tips & Techniques
Subscribe
About Us
Contact Us
Editorial Guidelines
Privacy Policy
Environment
Natural Disasters
Learn how the climate crisis influences natural disasters like hurricanes, tornadoes, wildfires, floods & droughts and what it means for the environment.
How We Can Re-Root Communities Left Reeling After Wildfire
Garden Design Ideas for Fire-Prone Areas
These Low-Carbon Modular Shelters Offer Dignity and Well-Being to Displaced People
The Significance of Trees After Natural Disasters Hit
Sky-Gazing Medieval Monks Shed Light on Volcanic Mysteries
Atmospheric Rivers Now Have an Intensity Ranking Like Hurricanes
15 Groundbreaking Earthquake Facts
11 Images of Volcanoes as Seen From Space
What Causes Sinkholes?
Hurricane Fiona Is a Cautionary Tale For the Caribbean
Avalanches, Landslides, and Mudslides: Definitions and Causes
New Resource Outlines Nature-Based Solutions for Dealing with Flooding
When Disaster Strikes, Connections Make Us Safer
What Is a Frost Quake, and How Does One Occur?
What Are Arctic Fires and What Causes Them?
Understanding Wildland Urban Interface and Its Connection to Wildfires
18 of the Most Active Volcanoes in the U.S.
8 of the Riskiest Regions for Natural Disasters
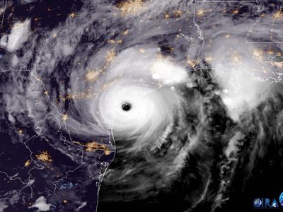
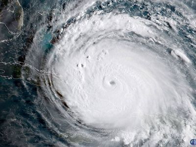
NASA Images of Hurricanes From Space
How Hurricanes Are Named (And Why)
8 Beautiful Places Prone to Natural Disasters
What Happens to Animals During a Hurricane?
What Happens to Marine Wildlife During Hurricanes?
What Causes Tornadoes?
The Sickening, Dangerous Side Effects of Flooding
6 Cities That Rallied After Natural Disasters
10 of the Worst Wildfires in U.S. History
What Are Extratropical Cyclones?
When It Comes to Volcanoes, What Is Laze?
The Simple Science Behind This 'Boiling' Sand
Earthquakes: Finding Fault With Nature
How Do Palm Trees Survive Hurricanes?
What Are Lava Trees and How Are They Formed?
Are Hurricanes Linked to Global Warming?
200 Years Ago Mount Tambora Erupted. What Happened Next Changed the World
Build a DIY Earthquake Sensor
Real-Life Sharknado: 5 Actual Instances of Animal Tornadoes
How to Prevent a Drought
What Causes Hurricanes?
Environmental Consequences of the California Drought
The Facts, Timeline, and Impact of Hurricane Maria
Looking Back on Hurricane Katrina
The Timeline and Impact of Hurricane Sandy
Explore More
Environment
Planet Earth
Climate Crisis
Pollution
Recycling & Waste
Transportation
Newsletter Sign Up
Newsletter Sign Up
Newsletter Sign Up